조황관리HOME / 조황관리 / 상세정보

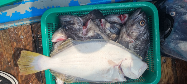
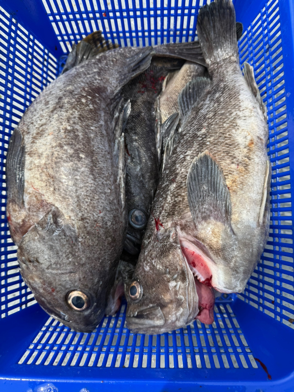
제목 : 7월6일 일요일 오이도 포세이돈호 조황사진 올림니다
등록일 : 2025-07-10
안녕하세요 
#오이도 #포세이돈호 정선장입니다 
#7월6일 #일요일 #다잡외수질 다녀왔습니다 
#조황사진 올림니다 
포세이돈호를 이용해주신 조사님들께 감사의 말씀 드림니다

20250706_142508.jpg


20250706_143052.jpg


20250706_151055.jpg


1751780908528.jpg


20250706_144723.jpg


20250706_144648.jpg


20250706_144626.jpg


1751780564767.jpg


20250706_143352.jpg


20250706_144616.jpg

1751780909000.jpg


20250706_145355.jpg


20250706_144731.jpg


20250706_142506.jpg


20250706_142408.jpg


20250706_142324.jpg


20250706_132849.jpg


20250706_130914.jpg


20250706_121030.jpg


20250706_103437.jpg



 

==== 안산 포세이돈호 예약안내 ====

예약문의 : 010-8539-9436
오시는길 : 경기도 시흥시 정왕동 2377
홈페이지 : http://poseidon.sunsang24.com/
Top