조황관리HOME / 조황관리 / 상세정보

제목 : 25년 8월17일 오이도 포세이돈 조황사진
등록일 : 2025-08-17



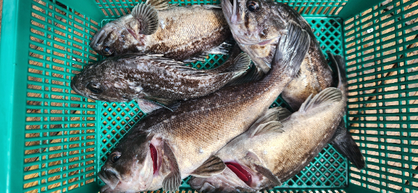
수고하셨습니다..오늘은 첮수가 농어7짜가 나와주었네요..좋은예감...그이후 광어 우럭몇수씩하고 조기입항 했습니다..감사합니다 
1000031946.jpg


1000031947.jpg


1000031948.jpg


1000031949.jpg


1000031950.jpg


1000031951.jpg


1000031952.jpg


1000031953.jpg


1000031958.jpg


1000031957.jpg


1000031956.jpg


1000031955.jpg


==== 안산 포세이돈호 예약안내 ====

예약문의 : 010-8539-9436
오시는길 : 경기도 시흥시 정왕동 2377
홈페이지 : http://poseidon.sunsang24.com/
Top